Missing Link construction could begin this winter

After 16 years of delays, the first phase of the Burke-Gilman Missing Link construction is set to start this winter. According to SDOT, the city plans to begin work on Phase 1, which includes the western end of the Missing Link, from the Locks to the intersection of 24th Ave NW and NW Market St. …

Read more

Weigh in on Missing Link design plans on Thursday

On Thursday, July 13 from 5-8pm there will be a community meeting to discuss design plans for the Burke-Gilman Missing Link project. “We want to hear your ideas,” the organizers from the Seattle Department of Transportation (SDOT) say. “Join project design staff at an in-person event to help us better understand local conditions, opportunities, and …

Read more

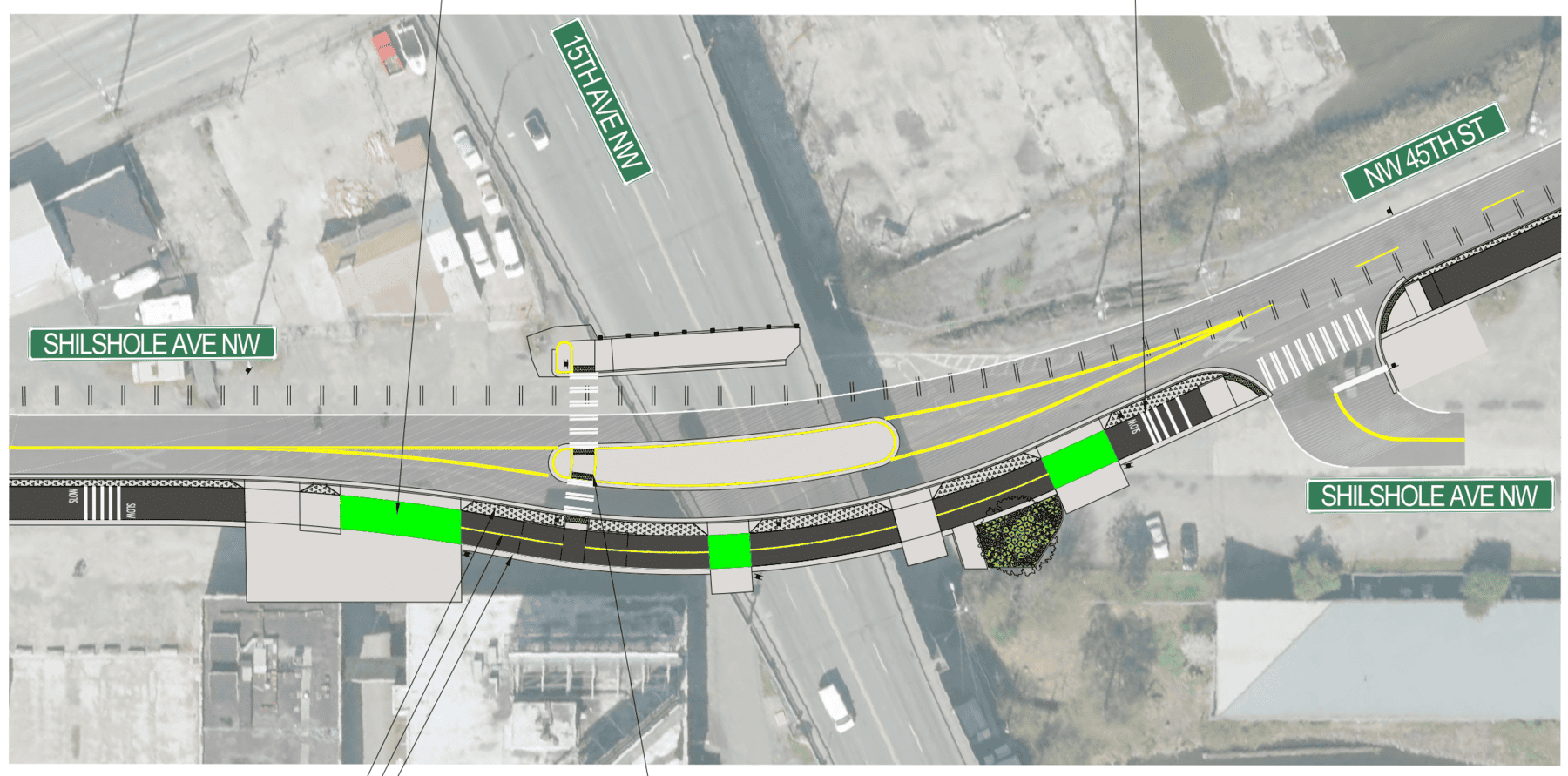
Missing Link update: design underway, community meetings scheduled

The Missing Link completion project is underway, with the city conducting detailed design plans and scheduling public meetings to meet with the community and business owners about progress. In February, city leaders, trail supporters, and the business community announced that an agreement had been made to complete the trail, which will run along NW Market Street …

Read more

Framework agreement reached, completion of Burke-Gilman Missing Link to move forward

Earlier today, Mayor Ed Murray along with Councilmembers Mike O’Brien and Rob Johnson, Ballard business owners, and bicycle and pedestrian advocates, announced that a framework agreement has been reached to move forward on completing the “missing link” of the Burke-Gilman Trail. “After years of disagreement, we have a path forward to finally complete the ‘missing link’ of …

Read more