Applications for developments in Ballard have been coming in fast this week to the Department of Planning and Development (DPD).
Check out the most recent applications and decisions from the DPD as posted in the Land Use Information Bulletin.
Applications:
A Land Use Application has been submitted to subdivide one development site into five unit lots. This subdivision of property is only for the purpose of allowing sale or lease of the unit lots. Development standards will be applied to the original parcel and not to each of the new unit lots.
A Land Use Application has been submitted to subdivide one development site into five unit lots. This subdivision of property is only for the purpose of allowing sale or lease of the unit lots. Development standards will be applied to the original parcel and not to each of the new unit lots.
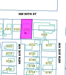
A Land Use Application has been submitted to subdivide one parcel into two parcels of land. Proposed parcel sizes are: A) 2,720.1 sq. ft. and B) 2,273.8 sq. ft. Existing structures to be demolished.
A Land Use Application has been submitted to subdivide one development site into two unit lots. Existing residential units to remain. This subdivision of property is only for the purpose of allowing sale or lease of the unit lots. Development standards will be applied to the original parcel and not to each of the new unit lots.
Decision:
A Land Use Application has been approved to subdivide one parcel into two parcels of land. Proposed parcel sizes are: A) 2,398 sq. ft. and B) 2,597 sq. ft. Existing structure to be demolished.
Appeals and comments on proposed land use actions must be submitted in writing to the Public Resource Center by email to prc@seattle.gov, by fax to (206) 233-7901, or by mail to the address below:
Department of Planning and Development
ATTN: Public Resource Center or Assigned Planner
700 Fifth Ave, Ste 2000
P.O. Box 34019
Seattle, WA 98124-4019




